Description du Projet
Iaorana, je suis à la recherche d'un géomètre qui puisse faire des devis par rapport à mon terrain :
alors à savoir que j'habite à papara pk 36.200 côté montagne quartier lucky
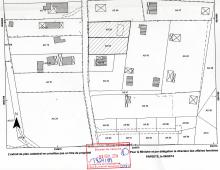
Nom du terrain : TEMARAEPIHAPAEHA MAHITIHITI, parcelle A et B du domaine AMO cadastrée AS n°93.
Nom de mes parents : mon papa : PUNUA Benjamin, Tiare ma maman : Mme TAVITA épouse PUNUA Rutamoapi
Superficie de : 1.100 mètre²
Ce que je recherche : un géomètre qui puisse me faire un devis par rapport au terrain et qu'il puisse aussi divisé le terrain en trois parts égales.
Mercie beaucoup.
